Bigger hurricanes are now more damaging
14 Nov 2019

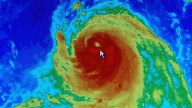
![]() |
Hurricane Irma |
THE BIGGEST and most damaging hurricanes are now three times more frequent than they were 100 years ago, say researchers.
Related Topics: Carbon News world

Govt ‘captured by industry’ on methane – Carr
Tue 21 Oct 2025
By Liz Kivi | Former Climate Change Commission chair Rod Carr says that recent moves to weaken methane targets and halt plans for agricultural emissions pricing show the Government has been captured by industry.

Adaptation plan at odds with public sentiment: survey
Tue 21 Oct 2025
By Liz Kivi | The Government’s position on climate adaptation buyouts shows a disconnect with public opinion, according to survey findings from insurer Suncorp NZ.

Council buys dairy farm to help clean up Lake Rotorua
Tue 21 Oct 2025
Bay of Plenty Regional Council has bought a 266-hectare dairy farm in the Lake Rotorua catchment and plans to retire it from production to reduce nitrogen entering the lake.

Climate resilience funding boost for Whanganui Port’s South Mole works
Tue 21 Oct 2025
By Moana Ellis, Local Democracy Reporter | Whanganui’s Te Pūwaha port revitalisation project has received $7.875 million from the government’s Climate Resilience Fund to support the next phase of restoration at the South Mole.

‘Pathetic': experts slam govt’s approach to adaptation
Mon 20 Oct 2025
By Liz Kivi | The government has signalled it will step back from full property buyouts if assets are hit by climate disasters, a move adaptation experts say will condemn hundreds of thousands of New Zealanders to a “dismal” future.

Methane pledge in question following NZ weakening targets
Mon 20 Oct 2025
By Liz Kivi New Zealand’s new methane target puts the Global Methane Pledge – and ultimately climate targets – at risk, according to an international expert.

Govt pours millions into Canterbury flood defences
Mon 20 Oct 2025
By Jonathan Leask, Local Democracy Reporter | Canterbury’s flood defences are set for a major boost, with $21.5 million in Government co-funding to fast-track nine priority river protection projects.

Electricity Authority proposes doubling solar export limits to 10 kW
Mon 20 Oct 2025
The Electricity Authority is proposing a default 10kW export limit for small-scale generation, saying new inverter standards and voltage settings allow homes and businesses to feed more power into local networks without compromising safety.

Difficult trade-offs ahead for climate adaptation
Fri 17 Oct 2025
By Shannon Morris-Williams | While climate impacts are already here, bringing the urgent need to accelerate effective adaptation now, the Government's newly minted adaptation framework still leaves important questions unanswered about who will pay.

All carrot, no stick for farmers on methane
Fri 17 Oct 2025
By Pattrick Smellie | COMMENT: The abandonment of methane emissions pricing and the adoption of a weaker target is effectively the last nail in the coffin of the historic cross-parliamentary consensus embedded in the Zero Carbon Act 2019.