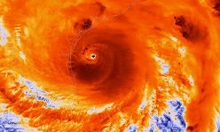
How did climate change make Hurricane Harvey much worse?
30 Aug 2017

![]() |

Climate scientists and republican lawyers are taking aim at Big Tech’s emissions
Fri 17 Oct 2025
Technology companies have long been one of the biggest investors in clean energy, but new accounting rules could upend that.

Judge dismisses suit by young climate activists against Trump’s pro-fossil fuel policies
Fri 17 Oct 2025
Plaintiffs had ‘overwhelming evidence’ of climate crisis but a court injunction would be ‘unworkable’, ruling says.

Why Trump is not a death knell for global climate action
Tue 14 Oct 2025
In his rambling speech to the United Nations last month, United States President Donald Trump described climate change as “the greatest con job ever perpetrated on the world”.

US threatens visa restrictions, sanctions against UN members that back IMO emissions plan
Mon 13 Oct 2025
The United States threatened to use visa restrictions and sanctions to retaliate against nations that vote in favour of a plan put forward by a United Nations agency to reduce planet-warming greenhouse gas emissions from ocean shipping.

More than 40 Trump administration picks tied directly to oil, gas and coal, analysis shows
Mon 13 Oct 2025
Report looks at White House nominees and appointees and agencies dictating energy, environment and climate policy.

US Energy Department to slash nearly $24 billion in green project funding
9 Oct 2025
The US Energy Department is slashing nearly $24 billion of funding for climate projects, as the Trump administration moves to further unwind Biden-era climate policies during the government shutdown.

Plan to reflect sunlight to power solar panels at night upsets astronomers
9 Oct 2025
California startup Reflect Orbital plans to launch thousands of satellites with mirrors to redirect sunlight to solar farms at night.

Groups sue E.P.A. over cancelled $7 billion for solar energy
8 Oct 2025
The lawsuit accused the Environmental Protection Agency of illegally revoking the money without congressional approval.

In a new era of climate disaster, a tiny, resilient mountain village in New Mexico is teaching the world how to adapt
7 Oct 2025
Rather than risk the destruction of their village with every flood, Ruidoso’s leaders are plotting for survival.

End of EV tax subsidy sparks worries of collapse in US electric car sales
6 Oct 2025
Automotive executives are bracing for a freefall in U.S. electric-vehicle sales following the disappearance of a critical $7,500 tax break for buyers.